
Want to have an amazing, stress-free, seamless, no-worries vacation in Hawaii?
Start by NOT taking your phone snorkeling with you unless you are absolutely, positively, 100% sure that your waterproof case is actually waterproof. I got to learn the hard way, at Hanauma Bay — a nature preserve just east of Honolulu.
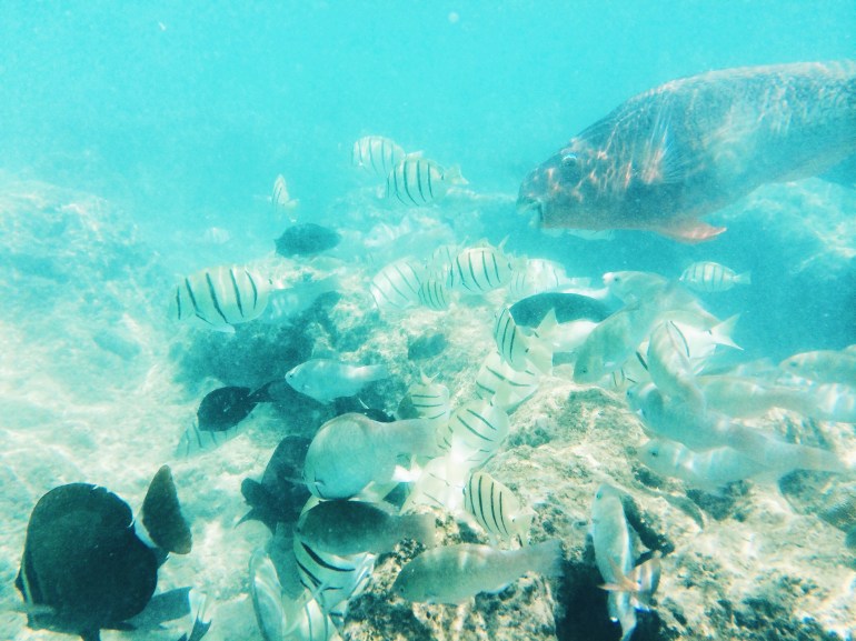
It’s an extremely popular spot for snorkeling, cause it’s teeming with all manner of reef, fish, and even sea turtles. AKA, the perfect storm of factors that might influence one to make some questionable technology-related life choices.
















All of these Hanauma Bay shots were actually taken two years ago, when Mark and I visited it for the first time. All the pictures I took at Hanauma Bay this time around? Sucked into the black vortex of waterlogged iPhone land — where data goes to die. Luckily, I have Apple Care, so all it took was a quick drive to the Apple Store in our Jeep rental, plus choice curse words, naturally — then, voila! Brand spankin’ new phone.
And hey, lesson learned. Leaving my phone on shore next time.
xx
2 Comments